No members are browsing this topic
|
|
shueman

Libra
HDF Gold Supporter

Born To Drive...
     
Alta Loma CA
Posts: 17,228
APPD 2.12
Post Rank: 4
NADA
|
 |
Posted: Aug. 28 2005,2:30 pm |
Post # 3 |
 |
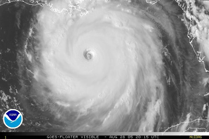
That thing is HUGE.... Â New Orleans will be 20' in water by tomorrow....
I leave for New York tomorrow morning, flying through Dallas... Â Looks like the storm will turn north so we should make it through there..... ....maybe...
Edited by shueman on Aug. 28 2005,5:22 pm
|
| Back to top |
|
| Member # 376 | Joined: 2-01-2004 | |
|
|
My Man's Sportin' Wood

Capricorn
HDF Supporter

Hallett Hottie
   
Flathead Lake Montana/Lake Havasu City
Posts: 3,500
APPD 0.43
Post Rank: 20
|
 |
Posted: Aug. 28 2005,9:32 pm |
Post # 5 |
 |
We have taken a special interest in this Hurricane since our daughters name is Katrina. I don't think she likes the fact that something with her name is causing death and property damage.
|
| Back to top |
|
| Member # 250 | Joined: 10-17-2003 | |
|
|
GoFastRacer

HDF Supporter

V-Driver For Life!
      
Big River, Ca
Posts: 63,230
APPD 7.47
Post Rank: 1
Spectra20
|
 |
Posted: Aug. 29 2005,5:57 am |
Post # 6 |
 |
| Quote (Bullitt Bob @ Aug. 28 2005,3:59 pm) | I just checked the weather and they're expecting a 28' surge in New Orleans! The Superdome is now the evac center, so I'm sure the local authorities are expecting some serious business.  |
Yeah and they lost some of their power last night, no A/C!..
|
| Back to top |
|
| Member # 101 | Joined: 3-03-2003 | |
|
|
Sleek-Jet

Aquarius
HDF Supporter

The Cooler
    
Batavia, IL
Posts: 6,351
APPD 0.75
Post Rank: 11
Big 'Ole Inner-tube
|
 |
Posted: Aug. 31 2005,1:33 pm |
Post # 13 |
 |
| Quote (Ziggy @ Aug. 31 2005,11:35 am) | | Quote (AZKC @ Aug. 31 2005,7:15 am) | This storm really messed up the South. Good luck to all of you folks back there  |
Devastating is more like it...80+% under water, massive looting, panic, and broken levies.....This is not going to be a quick fix...I wish the best to the folks in that region. . bad thing is this has been talked about for years and the fear of "filling the bowl" has now become a reality..... |
What amazes me is the all the water pumps are electric with no back up.
You'd think that they would have some combustion pumps or at least generation on site to get everything up and going.
A dog doesn't care if you're rich or poor, educated or illiterate, clever or dull. Give him your heart and he will give you his.
|
| Back to top |
|
| Member # 81 | Joined: 2-07-2003 | |
|
|
Ziggy

Cancer

Slum Lord
      
Oceanside, Ca./Lake Havasu, Az.
Posts: 7,441
APPD 0.90
Post Rank: 10
2016 Nordic 26 Deck
|
 |
Posted: Aug. 31 2005,1:59 pm |
Post # 15 |
 |
| Quote (Sleek-Jet @ Aug. 31 2005,12:33 pm) | | Quote (Ziggy @ Aug. 31 2005,11:35 am) | | Quote (AZKC @ Aug. 31 2005,7:15 am) | This storm really messed up the South. Good luck to all of you folks back there  |
Devastating is more like it...80+% under water, massive looting, panic, and broken levies.....This is not going to be a quick fix...I wish the best to the folks in that region. . bad thing is this has been talked about for years and the fear of "filling the bowl" has now become a reality..... |
What amazes me is the all the water pumps are electric with no back up. Â
You'd think that they would have some combustion pumps or at least generation on site to get everything up and going. |
Woulda, shoulda, coulda......I personally would have built the city on higher grounds and made a bigger and better lake in the bowl.......... No matter how you lok at this situation its really heart breaking....so many people are going to be displaced for a long time.....emotions running very high.
Ain't life Grand? Treat it that way. The Love of my Life, Jan. 
|
| Back to top |
|
| Member # 192 | Joined: 8-27-2003 | |
|
|
GoFastRacer

HDF Supporter

V-Driver For Life!
      
Big River, Ca
Posts: 63,230
APPD 7.47
Post Rank: 1
Spectra20
|
 |
Posted: Sep. 01 2005,6:18 am |
Post # 16 |
 |
I sure wouldn't want to be back there!..
|
| Back to top |
|
| Member # 101 | Joined: 3-03-2003 | |
|
|
BigDog


Not Float'n Enuff
    
Phoenix, AZ
Posts: 25,622
APPD 3.36
Post Rank: 3
'99 Searay 210 Sundeck
|
 |
Posted: Sep. 01 2005,7:48 am |
Post # 18 |
 |
| Quote (AZKC @ Aug. 31 2005,1:53 pm) | Well now its effecting me, need some parts for one of our sewer cleaners and the suppliers in Alabama and no one can get thru to them. Â  |
Know what you meen!!! Â Parts for my trailer are 30 miles east of New Orleans. Well atleast thats where they were before the hurican hit.
BD
Edited by BigDogIvan on Sep. 01 2005,7:49 am
|
| Back to top |
|
| Member # 1527 | Joined: 6-23-2005 | |
|
|
Sleek-Jet

Aquarius
HDF Supporter

The Cooler
    
Batavia, IL
Posts: 6,351
APPD 0.75
Post Rank: 11
Big 'Ole Inner-tube
|
 |
Posted: Sep. 01 2005,10:56 am |
Post # 21 |
 |
| Quote (Ziggy @ Sep. 01 2005,10:52 am) | | Quote (GoFastRacer @ Sep. 01 2005,5:18 am) | I sure wouldn't want to be back there!..  |
Speaking of being there....Anyone heard anything about HOSS? |
Not yet... a couple peeps on HB are trying to track him down, but until communications are back up, or he shows up somewhere, everyone is in the dark...
A dog doesn't care if you're rich or poor, educated or illiterate, clever or dull. Give him your heart and he will give you his.
|
| Back to top |
|
| Member # 81 | Joined: 2-07-2003 | |
|
|
GoFastRacer

HDF Supporter

V-Driver For Life!
      
Big River, Ca
Posts: 63,230
APPD 7.47
Post Rank: 1
Spectra20
|
 |
Posted: Sep. 01 2005,8:32 pm |
Post # 23 |
 |
| Quote (stingray @ Sep. 01 2005,8:28 pm) | | Quote (AZKC @ Sep. 01 2005,7:59 am) | Â Â What the hell are they thinking  |
I'm waist deep in shit and I have a big screen on my back now leave me alone dumb asses |
LMAO!..
|
| Back to top |
|
| Member # 101 | Joined: 3-03-2003 | |
|
|
Please help keep HDF free. If you
enjoy this site, feel free to make a donation to keep it running. THANKS!